11月1日(土)

DIVE1

Point

Weather Wind direction
Transparence
黒島仲本海岸沖晴れ

15m

朝から晴れ間が出たが、まだまだ波高し・・・
石垣北上を諦めて、今日も黒島方面へ。。
↓↓↓


本日はライオン&石垣島初ダイブのOご夫婦(ユウトさん&ユキハさん)♪
↓↓↓


こちらはねぇちゃんこと、ナオちゃん♪・・・と、大きなアオウミガメさん♪
↓↓↓


ユキハさんはカメラに夢中で♪・・・
↓↓↓


ご主人のユウトさんは浮遊派♪
↓↓↓


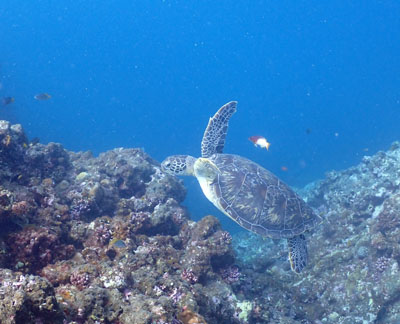
こちらはユキハさんの飛翔カメ♪
thanks photo by YUKIHA with OLYMPUS TG-7
↓↓↓


リツ☆チームのユウトさん&ユキハさんは先ずは体慣らしで、のんびりと♪
黒い群れはニセカンランハギ♪
↓↓↓


テツチームのこちらはナオちゃんとノコギリダイの群れ♪
↓↓↓




潜水時間:50分 最大水深:10m 水温:27℃
ガイド:リツ☆&てつ
ログ記入者:てつ

☆ special one shot photo


  • 幻想的な写真です♪
    thanks photo by YUKIHA with OLYMPUS TG-7+ワイドコンバージョンレンズ
  • DIVE2

    黒島仲本海岸沖

    晴れ

    18m

    身体が慣れたところで、ナオちゃんはハナゴンベ&アカイバラウミウシ狙い♪
    thanks photo by NAOKO with OLYMPUS TG-6
    ↓↓↓


    ハナゴンベとセットのアカイバラウミウシ♪
    thanks photo by NAOKO with OLYMPUS TG-6
    ↓↓↓


    5mmのコガネミノウミウシ♪
    thanks photo by NAOKO with OLYMPUS TG-6
    ↓↓↓


    カザリイソギンチャクエビ♪
    thanks photo by NAOKO with OLYMPUS TG-6
    ↓↓↓


    同じ↑アラビアハタゴイソギンチャク住人のクマノミチビちゃん♪
    thanks photo by NAOKO with OLYMPUS TG-6
    ↓↓↓


    今日も同じ穴に居てくれました♪ガッキークン。。
    thanks photo by NAOKO with OLYMPUS TG-6
    ↓↓↓


    もういっちょ!サクラハウスにて♪
    thanks photo by NAOKO with OLYMPUS TG-6
    ↓↓↓


    こちらはマクロワイドでセジロクマノミを♪
    thanks photo by YUKIHA with OLYMPUS TG-7
    ↓↓↓




    潜水時間:50分 最大水深:26m 水温:27℃
    ガイド:リツ☆&てつ
    ログ記入者:てつ

    ☆ special one shot photo

  • 黒島の陰でランチタイム♪
  • DIVE3

    黒島V字ドロップ 晴れ

    18m

    V字ドロップにて・・・♪
    Oご夫婦(ユウトさん&ユキハさん)♪
    ↓↓↓


    V字ドロップのアカマツカサ軍団♪
    thanks photo by YUKIHA with OLYMPUS TG-7
    ↓↓↓


    ナオちゃんの美しいホヤ♪
    thanks photo by NAOKO with OLYMPUS TG-6
    ↓↓↓


    ナオちゃんのルーティン・・・イバラカンザシ♪
    thanks photo by NAOKO with OLYMPUS TG-6
    ↓↓↓


    ゴシキエビの若個体・・・脚が紫色!
    美味しそうには見えない!!・・・
    thanks photo by NAOKO with OLYMPUS TG-6
    ↓↓↓


    最後はヒナギンポ♪
    thanks photo by NAOKO with OLYMPUS TG-6
    ↓↓↓




    潜水時間:50分 最大水深:15m 水温:27℃
    ガイド:リツ☆&てつ
    ログ記入者:てつ